7115 South International Parkway
McAllen, TX 78503
For Lease
115,000 sqft
Lease Price
Contact Broker For Pricing
Brochure
Map
Industrial For Lease - Available Immediately
Industrial Build-to-Suit
Get in touch
Carlos Telles
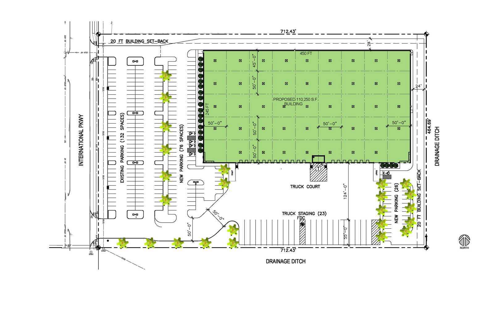
Proposed Building: Up to 115,000 sq. ft.
+ Office Area: To suit
+ Configuration: Front loading
+ Land Area: 7.60 acres
+ Construction Type: Concrete tilt wall
+ Docks: Up to 26 dock high doors
+ Drive-In Ramps: Up to 2 concrete ramps
+ Clear Height: 28’ (minimum)
+ Truck Court: 124’ concrete
+ Proposed Dimensions: 460’ x 250’
+ Column Spacing: 55’ x 50’
+ Parking: 129 existing spaces; 54 new spaces
+ Trailer Staging: Up to 41 spots
+ Fire Protection: ESFR sprinkler system
+ Lighting: LED & skylights throughout
(in warehouse)
+ Security: Availability to secure perimeter
+ Office Area: To suit
+ Configuration: Front loading
+ Land Area: 7.60 acres
+ Construction Type: Concrete tilt wall
+ Docks: Up to 26 dock high doors
+ Drive-In Ramps: Up to 2 concrete ramps
+ Clear Height: 28’ (minimum)
+ Truck Court: 124’ concrete
+ Proposed Dimensions: 460’ x 250’
+ Column Spacing: 55’ x 50’
+ Parking: 129 existing spaces; 54 new spaces
+ Trailer Staging: Up to 41 spots
+ Fire Protection: ESFR sprinkler system
+ Lighting: LED & skylights throughout
(in warehouse)
+ Security: Availability to secure perimeter
The South International Parkway Build to Suit sits at the south end of the master planned Sharyland Business Park and less than two miles from the Anzalduas International Bridge. This Class A industrial facility will offer a 32 foot clear height, skylights throughout, and on-site trailer staging to provide flexibility in product handling and processing for any distribution, light assembly, or manufacturing operation.
Many of the preeminent manufacturing and logistics firms operating in the Rio Grande Valley have selected Sharyland Business Park, including Regal Beloit, Emerson, DHL, Ceva Logistics and Standard Motor Products, due to the modern infrastructure, proximity to the Anzalduas and Pharr International Bridges, the McAllen International Airport and labor force found throughout the McAllen Metropolitan Area.
Many of the preeminent manufacturing and logistics firms operating in the Rio Grande Valley have selected Sharyland Business Park, including Regal Beloit, Emerson, DHL, Ceva Logistics and Standard Motor Products, due to the modern infrastructure, proximity to the Anzalduas and Pharr International Bridges, the McAllen International Airport and labor force found throughout the McAllen Metropolitan Area.
Total Space Available
115,000 sqft
Lease Type
Direct
Lease Rate
Contact Broker For Pricing
Get in touch
Carlos Telles