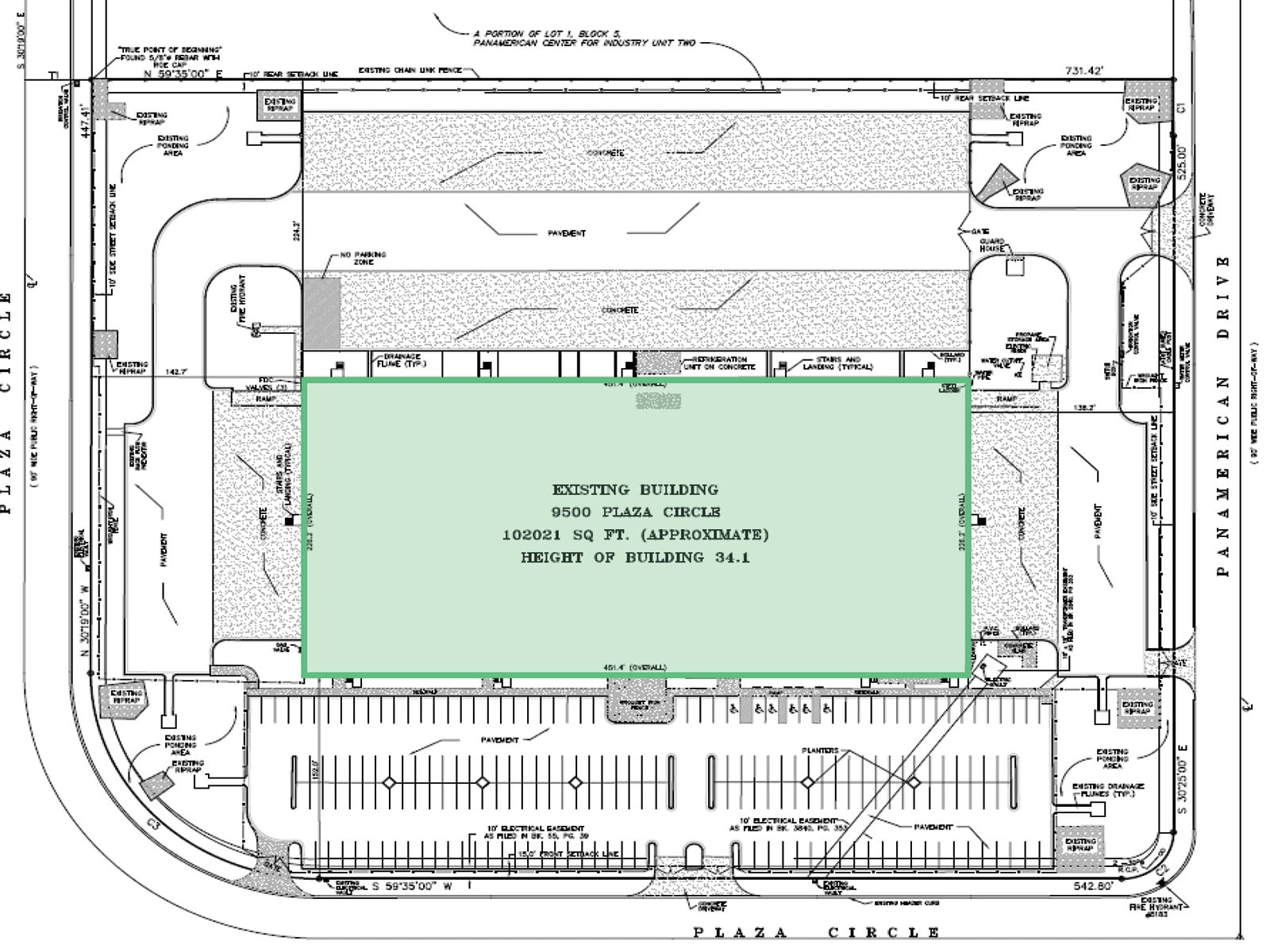
Warehouse / Distribution Building For Sublease 9500 Plaza Circle
El Paso, TX 79927
For Lease
102,021 sqft
Lease Price
Contact Broker For Pricing
View Floor Plans
Brochure
Map
Industrial For Lease - Available August 2025
Sublease Through September '26
Available Area: 102,021 sq. ft.
Office Area: 6,560 sq. ft.
Shipping Office: 144 sq. ft.
Year Built: 1999
Average Clear Height: 27'
Docks: 29 dock positions
Ramps: 2 drive-ins (3-way cross-dock)
Trailer Parking: 42 stalls (Additional spaces along the building)
Fire Protection: ESFR sprinklers
Security: Fully fenced and secured
Lighting: LED
Power: 750KVA / 1200AMP
Get in touch
Christian Perez Giese
9500 Plaza Circle is a unique 3-way Cross Dock located at the commercial entrance to the Zaragoza International Bridge in El Paso, Texas. The building has 29 docks located on three side of the building plus 42 additional trailer parking spaces away from the building. This is a modern logistics building with 25’ minimum clear height, ESFR sprinklers, 6,500 sq. ft. of offices, and an excellent location for any cross-border activities.
This space is available for a short-term sublease or can be leased on a longer term. The subtenant can be aggressive on the sublease rate through September 2026.
This space is available for a short-term sublease or can be leased on a longer term. The subtenant can be aggressive on the sublease rate through September 2026.
Minimum Space Available
102,021 sqft
Total Space Available
102,021 sqft
Lease Type
SubLease
Lease Rate
Contact Broker For Pricing
Lease Rate Type
Triple Net (NNN)
Get in touch
Christian Perez Giese