1 Acre Retail Pad 1100 High Street

Wadsworth, OH 44281

For Sale

1 ac

Sale Price

$1,100,000
View Floor Plans
Brochure
Map
Land For Sale - Under Contract
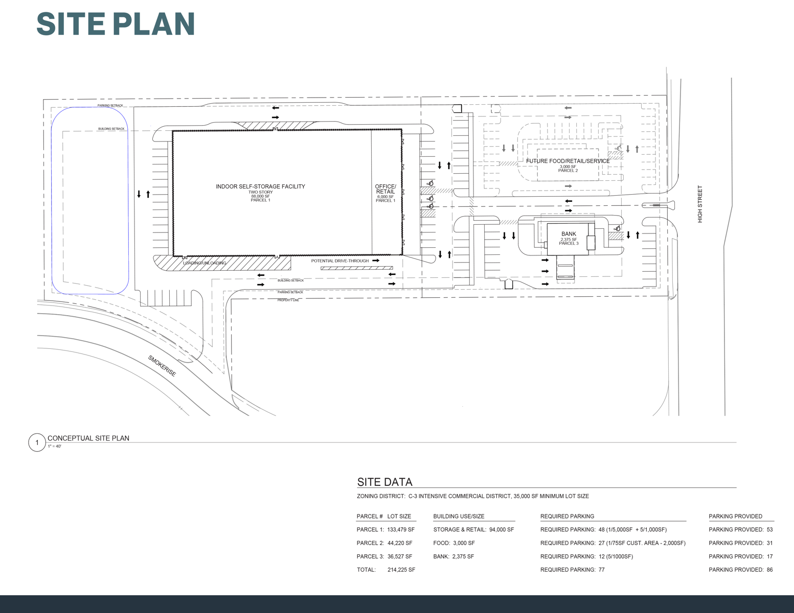
±1 Acre C-3 zoned commercial retail development site for sale across from Walmart and Home Depot
Join the new 94,000 SF self storage facility and bank, coming Spring ‘25
The development is in the heart of Wadsworth retail corridor, positioned across from Walmart and Home Depot
The site has signalized access through a shared easement to the traffic light
25,572 VPD along High Street (source ODOT TIMS)
The market has a regional draw and has a population of 45,721 people with a .48% annual population growth
Average household incomes of $116,733 in a 5 mile radius
Get in touch
Kevin Moss
Kevin Moss

Total Space Available

1 ac

Sale Price

$1,100,000
Site Plan
Get in touch
Kevin Moss
Kevin Moss