Mall at Sierra Vista Avenida Cochise & AZ-92, Sierra Vista, AZ 85635, USA

Sierra Vista, AZ 85635

For Sale/Lease

1.21 - 2.86 ac

Sale Price

Contact Broker For Pricing

Lease Price

Contact Broker For Pricing
View Floor Plans
Brochure
Map
Land For Sale/Lease - Available February 2025
For Ground Sale or Lease | 2 Retail Pads Available
Get in touch
Jesse Peron
Jesse Peron
Max Bippus
Max Bippus
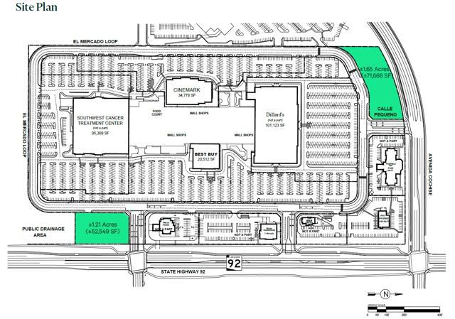
2 Outparcel Pads Available: ±1.65 acres and ±1.21 acres
Zoned General Commercial, major tenants include: Cinemark, Dillard's, Best Buy, Southwest Cancer Treatment Center

Minimum Space Available

1.21 ac

Total Space Available

2.86 ac
PAD 1
52,549 sqft
Land

Status

Available

Lease Type

Direct

±1.21 acres, Zoned General Commercial
PAD 2
71,666 sqft
Land

Status

Available

Lease Type

Direct

±1.65 acres, Zoned General Commercial

Lease Type

Direct

Sale Price

Contact Broker For Pricing

Lease Rate

Contact Broker For Pricing
Mall at Sierra Vista - Site Plan
Get in touch
Jesse Peron
Jesse Peron
Max Bippus
Max Bippus