Norwalk Development Land Chatham Avenue & Hwy 28

Norwalk , IA 50021

For Sale

18.43 ac

Sale Price

Contact Broker For Pricing
Brochure
Map
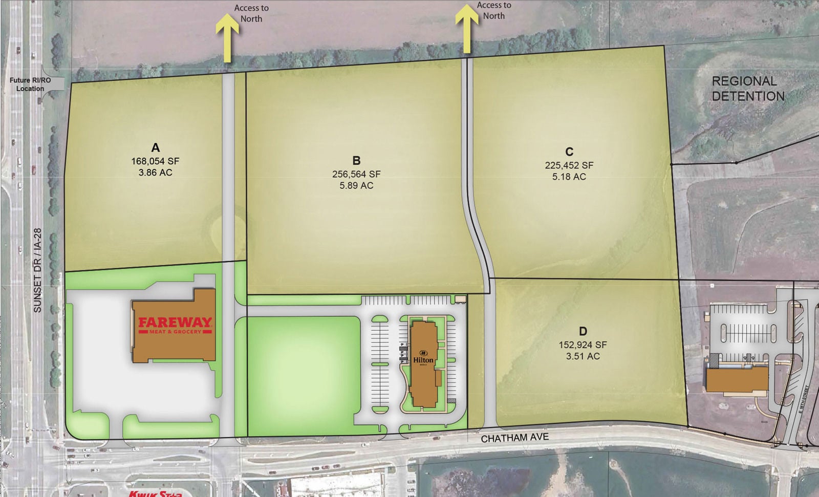
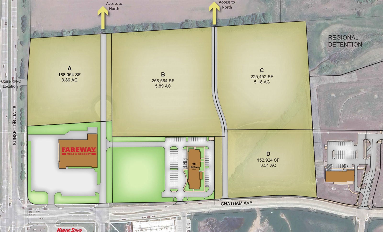
Land For Sale - Available Immediately
Flexible lot sizes and uses
Get in touch
Bill Wright
Bill Wright
Grant Wright, CCIM
Grant Wright, CCIM
Commercial ground available along Highway 28 in the booming suburb of Norwalk with flexible lot sizes. The area is experiencing significant growth, evidenced by a strong presence of established businesses and ongoing developments including a new Fareway Meat & Grocery, Tru hotel by Hilton, Fairfield by Mariott, Norwalk
Central Sports complex, and various supporting retail uses.
This prime development land is strategically located at the intersection of Chatham Avenue and Highway 28, offering high visibility and easy access.

Total Space Available

18.43 ac

Sale Price

Contact Broker For Pricing
Get in touch
Bill Wright
Bill Wright
Grant Wright, CCIM
Grant Wright, CCIM