Henderson Industrial Park Black Mud Road
Walker, LA 70785
For Sale
262 ac
Sale Price
Contact Broker For Pricing
View Floor Plans
Land Splits
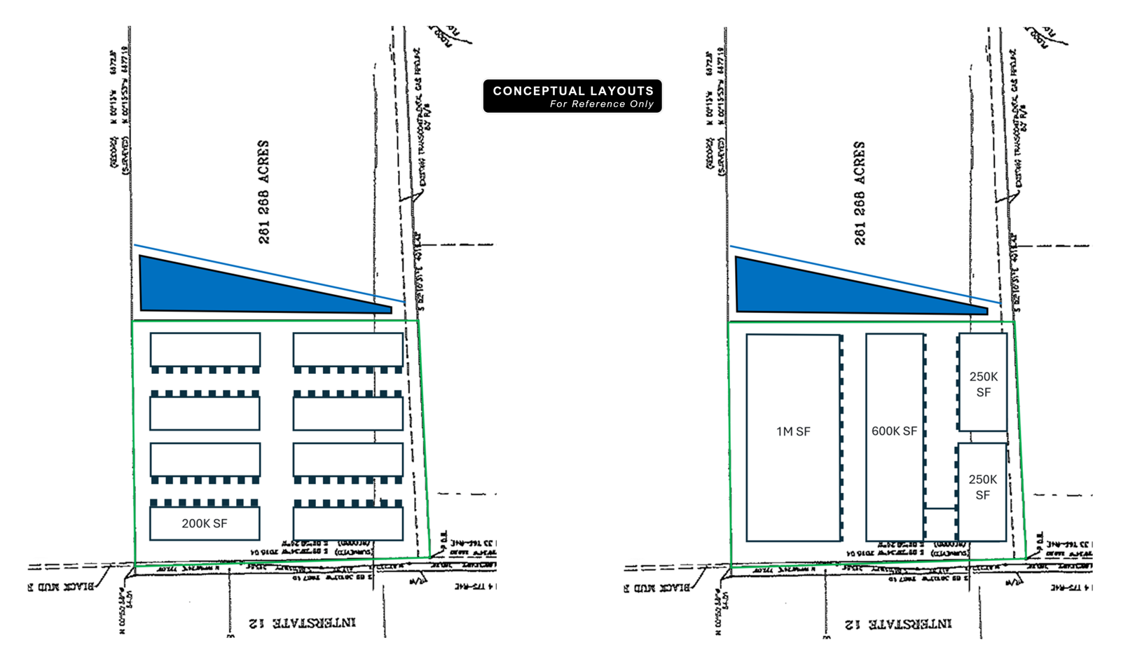
Speculative Concepts
Brochure
Property Website
Map
Land For Sale - Available November 2025
Interstate Land for Sale-Henderson Industrial Park
Get in touch
Alex McCollam
Michael Cashio
Ty Gose
262-Acre Site
±100 Ac. Outside of Base Flood & Ready for Development (Mostly Cleared)
Zoned for Distribution
Excellent Access & Visibility from I-12 @ Exit 19 (Satsuma)
Excellent Logistics Market
Land Splits Available
Contact Agent(s) for Details / Pricing Guidance
±100 Ac. Outside of Base Flood & Ready for Development (Mostly Cleared)
Zoned for Distribution
Excellent Access & Visibility from I-12 @ Exit 19 (Satsuma)
Excellent Logistics Market
Land Splits Available
Contact Agent(s) for Details / Pricing Guidance
Strategically located on Interstate 12 between Baton Rouge and the Northshore of Lake Pontchartrain, Henderson Industrial Park is ideally positioned as a key transportation and logistics hub to serve South Louisiana and the Gulf South Region. Offering convenient same-day access to major regional markets and located just 20 minutes from Hammond, LA – a growing hub for regional distribution via I-12, I-55, I-59 and I-10 – Henderson Industrial Park is poised to accommodate a wide range of developers and users. All acreage is zoned for distribution, with land splits available.
Total Space Available
262 ac
Sale Price
Contact Broker For Pricing
Get in touch
Alex McCollam
Michael Cashio
Ty Gose