Former Automotive Repair Facility - Possible Redevelopment Site 3108 Douglas Avenue
Racine, WI 53402
For Sale
1.35 ac
Sale Price
$885,000
Brochure
Map
Retail For Sale - Available Immediately
229' of Frontage | Northern Racine / Caledonia Trade Area
Get in touch
Kurt Klapperich
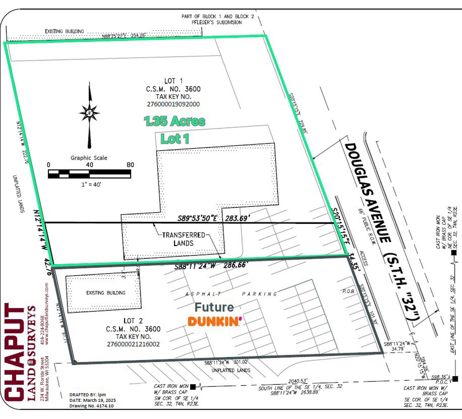
Address: 3108 Douglas Ave, Racine WI 53402
Building Sizes: 11,316 SF
Lot Size: 1.35 Acres
Dimensions: 229.85' x 254' (see CSM in brochure)
Access: (2) curb cuts currently
Zoning: B-2 Community Shopping District
Utilities: 8” sanitary sewer on the west side of Douglas Ave
6” water main on the west side of Douglas Ave
21” storm sewer in center of Douglas Ave
Environmental: Site has a no further action letter from the Wisconsin Department of Natural Resources.
Building Sizes: 11,316 SF
Lot Size: 1.35 Acres
Dimensions: 229.85' x 254' (see CSM in brochure)
Access: (2) curb cuts currently
Zoning: B-2 Community Shopping District
Utilities: 8” sanitary sewer on the west side of Douglas Ave
6” water main on the west side of Douglas Ave
21” storm sewer in center of Douglas Ave
Environmental: Site has a no further action letter from the Wisconsin Department of Natural Resources.
Total Space Available
1.35 ac
Sale Price
$885,000
| 1 Mile | 3 Miles | 5 Miles | |
|---|---|---|---|
| Population | 14,284 | 65,789 | 118,143 |
| Avg. Household Income | $82,315 | $83,042 | $85,678 |
| Daytime Population | 11,295 | 57,738 | 105,707 |
Get in touch
Kurt Klapperich