727 Sebastian Boulevard

Sebastian, FL 32958

For Lease

1,978 sqft

Lease Price

Contact Broker For Pricing
View Floor Plans
Brochure
Map
Retail For Lease
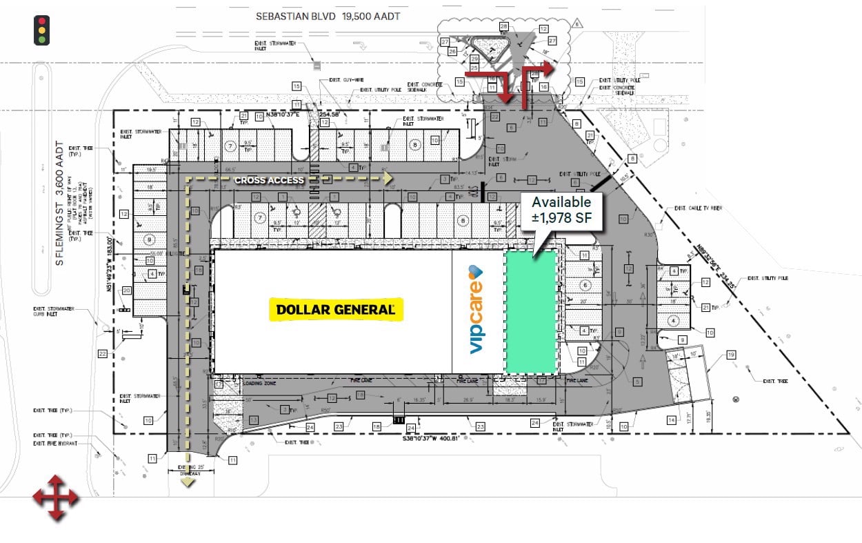
±1,978 SF End-cap Available
End-cap unit available in gray shell condition: ±1,958 SF of leasable space
Prominent frontage along Sebastian Boulevard offering high visibility
Ample on-site parking with approximately 47 spaces
Located within a well-established and densely populated residential area
8 minute drive from the Sebastian Boulevard exit from Interstate 95, providing direct access to the regional retail corridor
Convenient ingress and egress from Sebastian Boulevard, with additional cross-access via South Fleming Street
Established retail co-tenancy with Dollar General and VIPCare Center, enhancing foot traffic and visibility
Get in touch
Cabot Jaffee
Cabot Jaffee
Katy Taylor
Katy Taylor
End-cap unit offering approximately 1,958 square feet of leasable space available in gray shell condition. The property features prominent frontage along Sebastian Boulevard, ensuring strong visibility and convenient access. On-site parking includes approximately 47 spaces. Situated within a well-established and densely populated residential area, the location benefits from consistent local traffic. It is just an eight-minute drive from the Sebastian Boulevard exit off Interstate 95, providing direct connectivity to the regional retail corridor. Easy access via Sebastian Boulevard with additional cross-access through South Fleming Street. The site is part of a retail center anchored by Dollar General, contributing to steady foot traffic and established co-tenancy.

Total Space Available

1,978 sqft

Lease Type

Direct

Lease Rate

Contact Broker For Pricing
site plan - senbastian retail center
Get in touch
Cabot Jaffee
Cabot Jaffee
Katy Taylor
Katy Taylor